Zoología
Describen científicamente una nueva especie de escarabajo a partir de un ejemplar de museo de siglo y medio
Si bien las nuevas especies descubiertas son descritas habitualmente con arreglo a investigaciones de campo recientes, realizadas en lugares escasamente explorados, algunas son identificadas en colecciones de museos, donde se pasaron décadas sin ser catalogadas antes de que se las reconociera como nuevas por la ciencia. Ese es el caso de un escarabajo terrestre inusualmente grande y con gran probabilidad extinto, redescubierto en el Museo Nacional de Historia Natural de París (Francia). La historia de este espécimen se inició en la lejana década de 1860, con el viaje de Eduard Graeffe a Samoa. Ahora, un siglo y medio más tarde, el escarabajo ha sido finalmente descrito de manera plena y correcta por James K. Liebherr, de la Universidad Cornell, en EE.UU.
Al igual que con las demás especies de su género, el escarabajo de la especie a la que ahora se le ha dado el nombre de Bryanites graeffii muestra alas vestigiales y otros rasgos asociados con la pérdida de la capacidad de vuelo. Sin embargo, con una longitud de 16,2 mm, es el mayor del grupo taxonómico al que ha sido asignado.
El género Bryanites era anteriormente conocido por la existencia de dos especies catalogados en él y representadas por solo dos especímenes, recogidos en 1924 por Edwin H. Bryan, Jr., del Museo Bernice P. Bishop de Honolulú, Hawái, Estados Unidos.
Como resultado de la nueva incorporación, ahora son tres las especies conocidas que representan una radiación evolutiva en Samoa, todas caracterizadas a partir de especímenes individuales recogidos hace mucho tiempo. La filogenética de estas tres especies las vincula a otros grupos de Fiyi y Nueva Zelanda.
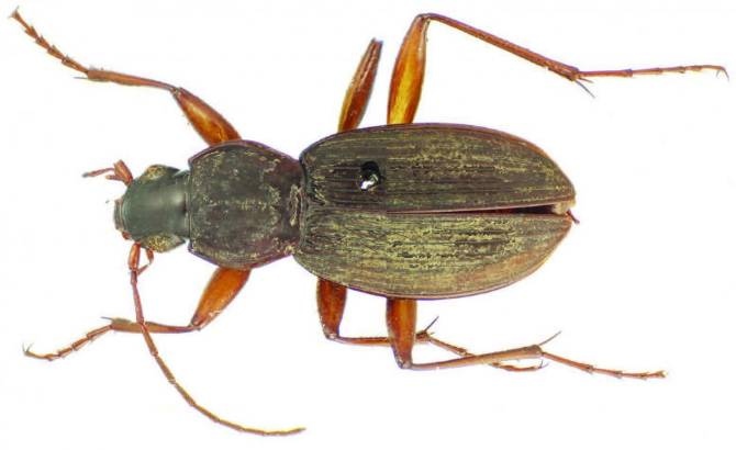
![[Img #41380]](upload/img/periodico/img_41380.jpg)
Holotipo de macho de Bryanites graeffii, recogido por Eduard Graeffe cerca de Apia, Samoa, antes de 1870. (Foto: James K. Liebherr. CC-BY 4.0)
¿Qué ganamos con saber sobre especies que existieron hace 90-150 años pero que casi con toda certeza han desaparecido ya? Pues podría ser que ello nos señalase el actual nivel de impacto que la humanidad tiene sobre los ecosistemas naturales. La causa de la probable extinción de la especie Bryanites graeffii quizá ni se llegue a averiguar nunca con certeza; sin embargo, la colonización de muchas islas del Pacífico por la rata polinesia ha sido siempre seguida por la disminución o eliminación de poblaciones de especies de insectos nativas. Por tanto, podemos añadir otra víctima probable a la lista de especies que se han visto afectadas negativamente por los animales que históricamente han acompañado al ser humano en sus migraciones. Por ejemplo, la introducción por el hombre de gatos comunes en algunas islas ha diezmado la población de diversas especies.
La especie Bryanites graeffii se llama así en homenaje a su recolector original, Eduard Graeffe y al duro trabajo que realizó mientras recogía insectos en la selva de Samoa hace más de un siglo.


