Lunes, 01 de Diciembre de 2025

Actualizada Lunes, 01 de Diciembre de 2025 a las 13:37:20 horas

Tienes activado un bloqueador de publicidad

Intentamos presentarte publicidad respectuosa con el lector, que además ayuda a mantener este medio de comunicación y ofrecerte información de calidad.

Por eso te pedimos que nos apoyes y desactives el bloqueador de anuncios. Gracias.

Redacción
Martes, 27 de Agosto de 2019
Arqueología

Los antiguos mayas fueron más guerreros de lo que se pensaba

Siempre se ha considerado que la civilización Maya, en América Central, era amable y gentil, especialmente en comparación con los aztecas de México. En el apogeo de la cultura Maya hace unos 1.500 años, la guerra parecía ritualista, diseñada para extorsionar a la realeza o para someter a dinastías rivales, con un impacto limitado en la población.


Solo más tarde, pensaban los arqueólogos, el aumento de la sequía y el cambio climático condujeron a una guerra total (con ciudades y dinastías borradas del mapa), con el colapso final de la civilización maya de las tierras bajas alrededor del año 1000 de la actual era.


Pero una nueva evidencia descubierta por un investigador de la Universidad de California y el Servicio Geológico de los Estados Unidos cuestiona todo esto, y sugiere que los mayas participaron en campañas de tierra quemada o tierra arrasada, una denominación militar que hace referencia a la estrategia de destruir cualquier cosa de utilidad para el enemigo, incluidas las tierras de cultivo. Y esto no solo se produjo al final, sino también en el apogeo de la civilización, una época de prosperidad y sofisticación artística.


El trabajo, publicado en la revista ‘Nature Human Behavior’, se ha realizado a partir del hallazgo de una capa de carbón de una pulgada de espesor en el fondo de un lago, la Laguna Ek'Naab, en el norte de Guatemala, signo de la quema de una ciudad cercana, Witzná. La capa de carbón data de entre el 690 y 700 después de Cristo, justo a la mitad del período clásico de la civilización maya.

 

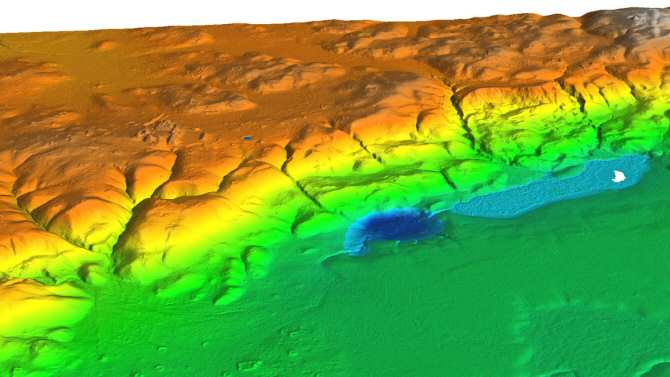
[Img #56752]

Estudio LiDAR realizado en la laguna Ek'Naab. (Imagen: Francisco Estrada-Belli, PACUNAM & Tulane University)


La laguna Ek'Naab, que tiene unos 100 metros de diámetro, se encuentra en la base de la meseta donde Witzná floreció una vez y en ella se han depositado durante cientos de años sedimentos de la ciudad y de sus campos agrícolas. Después de analizar la capa de carbón, los arqueólogos examinaron los monumentos en ruinas de Witzná que aún permanecen en la selva y encontraron evidencia de quemaduras en todos ellos.


La fecha de la capa coincide exactamente con la fecha de una inscripción maya que refiere que el 21 de mayo del 697 la ciudad de Bahlam Jol, la actual Witzná, se quemó por segunda vez.


"Lo que vemos es que parece que incendiaron toda la ciudad y, de hecho, toda la cuenca", apunta David Wahl, profesor de la Universidad de California e investigador del Servicio Geológico de los Estados Unidos. "Observamos una gran disminución de la actividad humana después, lo que sugiere que, al menos, fue un gran golpe para la población. No podemos saber si todos fueron asesinados o se mudaron o si simplemente emigraron, pero sí podemos decir que la actividad humana disminuyó de forma drástica inmediatamente después de ese evento".


El hallazgo también indica que las guerras, posiblemente asociadas con el cambio climático y la escasez de recursos, no fueron la causa de la desintegración de la civilización Maya de las tierras bajas.


"Estos datos desafían una de las teorías dominantes del colapso de los mayas", asegura Wahl. "Los hallazgos revocan la idea de que la guerra solo se intensificó muy tarde". "La parte revolucionaria de esto es que vemos cuán similar fue la guerra maya desde el principio", apunta el arqueólogo Francisco Estrada-Belli, de la Universidad de Tulane (Estados Unidos”. "Por primera vez, estamos viendo que esta guerra tuvo un impacto en la población en general", agrega. (Fuente: DICYT)

Copyright © 1996-2022 Amazings® / NCYT® | (Noticiasdelaciencia.com / Amazings.com). Todos los derechos reservados.

Depósito Legal B-47398-2009, ISSN 2013-6714 - Amazings y NCYT son marcas registradas. Noticiasdelaciencia.com y Amazings.com son las webs oficiales de Amazings.

Todos los textos y gráficos son propiedad de sus autores. La reproducción está permitida solo si se incluye el crédito de la fuente (NCYT Amazings) y un enlace dofollow hacia la noticia original.

Excepto cuando se indique lo contrario, la traducción, la adaptación y la elaboración de texto adicional de este artículo han sido realizadas por el equipo de Amazings® / NCYT®.

Con tu cuenta registrada

Escribe tu correo y te enviaremos un enlace para que escribas una nueva contraseña.