Astronomía
La vieja Cuenca Atlantis
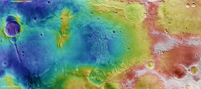
Esta colorida imagen es un mapa topográfico de parte de Terra Sirenum, una región del hemisferio sur de Marte. Los colores representan la elevación del terreno: los tonos rojos y blancos indican las zonas más elevadas, y los azules y púrpuras las más bajas.
En esta imagen podemos distinguir una gran variedad de formaciones geológicas: acantilados, cráteres de impacto, canales tallados en grandes pendientes, crestas y escarpes, que ponen de manifiesto la rica historia geológica de la región.
Quizás la formación que más llame la atención sea el terreno irregular que ocupa el centro de la imagen. Se trata de Atlantis Chaos, una planicie baja que cubre un área de unos 170 kilómetros de largo y 145 km de ancho, y que contiene varios cientos de pequeños picos y colinas con la cima plana. Se piensa que estas formaciones son el resultado de la lenta erosión de una meseta antaño lisa y plana.
La escena está plagada de cráteres de impacto de diversas edades, y los bordes de los más antiguos ya han sido prácticamente borrados por la erosión. De hecho, resulta difícil distinguir el contorno de la gran Cuenca Atlantis, un cráter de 200 kilómetros de diámetro que ocupa el centro de la imagen, y que está conectado con otra gran cuenca de 175 km de extensión situada un poco más hacia el sur (izquierda, en esta imagen).
![[Img #29758]](upload/img/periodico/img_29758.jpg)
Los científicos piensan que algunos de los cráteres de esta región podrían haber estado llenos de agua en algún momento de la historia del Planeta Rojo. De hecho, los canales tallados en las laderas de las antiguas cuencas parecen indicar que en un pasado remoto el agua fluía por estas tierras.
Esta imagen combina los datos recogidos por la Cámara Estéreo de Alta Resolución de Mars Express los días 28 de diciembre de 2008, 29 de diciembre de 2008, 6 de febrero de 2009 y 5 de enero de 2014. La resolución es de 14 metros por píxel. (Fuente: ESA)



