Salud
¿El estrés encanece el cabello?
Cuenta la leyenda que el pelo de María Antonieta se volvió canoso de la noche a la mañana justo antes del día en que fue ejecutada por decapitación en la guillotina. Aunque la leyenda es inexacta (el pelo que ya ha salido del folículo no cambia de color) un nuevo estudio realizado por un equipo internacional que incluye a Martin Picard, Ayelet Rosenberg y Shannon Rausser, los tres de la Universidad de Columbia en la ciudad estadounidense de Nueva York, ha explorado la cuestión de si el estrés psicológico promueve el encanecimiento del cabello.
Picard y sus colegas analizaron pelos individuales de 14 voluntarios. Los resultados se compararon con el diario de estrés en el que cada voluntario anotaba periódicamente su nivel de estrés.
Al crecer, cada pelo refleja las circunstancias del momento correspondientes a la salud de la persona. Así, micra a micra, es posible hacer un seguimiento de cómo vivió la persona desde el tramo más antiguo de ese pelo hasta el más nuevo.
Cuando los cabellos fueron sincronizados y cotejados con los diarios de estrés por el equipo de investigación, se revelaron asociaciones sorprendentes entre el estrés y el encanecimiento del cabello y, en algunos casos, una inversión del encanecimiento al desaparecer o disminuir mucho el estrés. Acerca de esto último, hasta donde saben los autores del estudio, esta es la primera vez que se documenta cuantitativamente tal reversión.
"Hubo un individuo que se fue de vacaciones, y cinco cabellos de esa persona volvieron a ser oscuros durante las vacaciones ", destaca Picard.
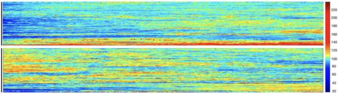
![[Img #64286]](https://noticiasdelaciencia.com/upload/images/07_2021/384_el-estres-encanece-el-cabello.jpg)
En la mitad superior de la imagen, patrones de pigmentación de 100 cabellos de una mujer participante en el estudio. En la mitad inferior de la imagen, patrones de pigmentación de 100 cabellos de un hombre participante en el estudio. Los colores de pelo más oscuros se representan en rojo; los más claros, en azul. (Imágenes: Rosenberg et al. (2021))
Para entender mejor cómo el estrés causa las canas, los investigadores también midieron los niveles de miles de proteínas en los cabellos y cómo los niveles de esas proteínas cambiaban a lo largo de la longitud de cada cabello.
Se produjeron cambios en 300 proteínas cuando cambió el color del pelo, y los investigadores desarrollaron un modelo matemático que sugiere que los cambios inducidos por el estrés en las mitocondrias pueden explicar cómo el estrés hace que el pelo se vuelva canoso.
"Basándonos en nuestro modelo matemático, creemos que el pelo necesita alcanzar un umbral antes de volverse canoso", explica Picard. "En la mediana edad, cuando el pelo está cerca de ese umbral debido a la edad biológica y a otros factores, el estrés es capaz de empujarlo más allá del umbral y se produce la transición a las canas. Pero reducir el estrés en una persona de 70 años que lleva años con canas no oscurecerá su pelo ni aumentar el estrés en un niño de 10 años bastará para que su pelo encanezca."
El estudio se titula "Quantitative Mapping of Human Hair Greying and Reversal in Relation to Life Stress". Y se ha publicado en la revista académica eLife. (Fuente: NCYT de Amazings)



